Deep within the lush, green expanse of the Amazon rainforest lies one of the most powerful and diverse healing systems on the planet—medicine from the Amazon. Often referred to as the “lungs of the Earth,” the Amazon is also its living pharmacy, home to tens of thousands of plant species with medicinal properties that have been used for centuries.
Amazonian herbal medicine is more than a collection of remedies—it is a holistic system of healing rooted in indigenous knowledge, spirituality, and a profound respect for nature. Today, as the global demand for natural remedies, plant-based medicine, and holistic wellness grows, the world is turning its attention to the ancient practices of the Amazon.
This article explores the origins, plants, science, cultural significance, and future of Amazonian medicine, while naturally integrating related concepts such as herbal remedies, rainforest healing, plant medicine, natural treatments, ethnobotany, and alternative medicine.
The Origins of Medicine from the Amazon
Indigenous Wisdom and Ancestral Knowledge
The foundation of medicine from the Amazon rainforest lies in the deep knowledge systems of indigenous tribes such as the Ashaninka, Yanomami, Shipibo-Conibo, and Kichwa. These communities have cultivated an understanding of medicinal plants over thousands of years, identifying healing properties through observation, ritual, and spiritual connection.
Unlike Western medicine, which often isolates symptoms, Amazonian healing practices embrace a holistic approach. Health is seen as a balance between the body, mind, spirit, and environment. Illness may be caused not only by physical factors but also by emotional imbalance or spiritual disconnection.
Knowledge of Amazonian plant medicine is traditionally passed down orally through generations—via storytelling, apprenticeship, and ceremonial practice. Shamans, often referred to as healers or “curanderos,” act as guardians of this wisdom, using plants not only for physical healing but also for spiritual cleansing and emotional restoration.

The Biodiversity Behind Amazonian Herbal Medicine
A Global Treasure of Medicinal Plants
The Amazon rainforest contains an estimated 10% of the world’s known species, making it one of the richest ecosystems on Earth. Within this biodiversity lies a vast repository of medicinal plants, herbs, roots, and botanicals used in traditional healing.
Scientists believe that only a small fraction of Amazonian plants has been studied for medicinal use, suggesting enormous untapped potential for pharmaceutical development and natural therapies.
Key characteristics of Amazonian medicinal plants include:
- Potent anti-inflammatory properties
- Strong antioxidant compounds
- Natural immune-boosting effects
- Adaptogenic qualities that help the body resist stress
This biodiversity is the backbone of herbal medicine from the Amazon, supporting both traditional healing systems and modern scientific exploration.
Key Plants in Medicine from the Amazon
Ayahuasca: Spiritual and Psychological Healing
One of the most प्रसिद्ध examples of Amazonian plant medicine is Ayahuasca, a sacred brew made from the Banisteriopsis caapi vine and Psychotria viridis leaves.

Traditionally used in ceremonial contexts, Ayahuasca is known for its powerful psychoactive effects, largely due to the presence of DMT (dimethyltryptamine). However, within indigenous cultures, it is not considered a drug—it is a teacher plant used for healing, insight, and spiritual growth.
Modern interest in Ayahuasca has surged due to its potential applications in:

- Treating depression and anxiety
- Addressing post-traumatic stress disorder (PTSD)
- Supporting addiction recovery
- Enhancing emotional awareness
This positions Ayahuasca as a bridge between ancient Amazonian medicine and contemporary mental health research.
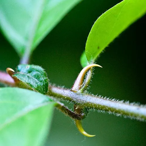
Cat’s Claw: Immune Support and Anti-Inflammatory Power
Cat’s Claw (Uncaria tomentosa) is another cornerstone of Amazon herbal medicine. Named for its hook-like thorns, this vine has been used for centuries to support immune function and reduce inflammation.

Benefits commonly associated with Cat’s Claw include:
- Strengthening the immune system
- Reducing symptoms of arthritis
- Supporting digestive health
- Providing antioxidant protection
Today, Cat’s Claw is widely used in natural supplements and alternative medicine, demonstrating how traditional Amazonian remedies are entering global wellness markets.
Graviola (Soursop): A Promising Natural Compound
Graviola (Annona muricata), also known as soursop, is a tropical fruit tree with powerful medicinal properties. Indigenous communities have long used it to treat infections, inflammation, and digestive issues.
Recent scientific interest has focused on its potential:
- Anticancer properties
- Antimicrobial effects
- Nervous system support
Although more research is needed, Graviola exemplifies how rainforest medicine can inspire modern therapeutic discoveries.
Copaiba Oil: Natural Anti-Inflammatory Remedy
Extracted from the resin of Copaifera trees, Copaiba oil is a staple in Amazonian natural medicine. It has traditionally been used to treat wounds, infections, and inflammation.

Modern applications include:
- Skincare products for acne and irritation
- Natural pain relief solutions
- Anti-inflammatory treatments
Copaiba is increasingly featured in organic wellness and cosmetic products, highlighting the commercial relevance of Amazonian botanicals.
The Role of Spirituality in Amazonian Healing
Beyond Physical Medicine
A defining aspect of medicine from the Amazon is its integration of spirituality. Healing ceremonies often involve chanting, plant diets (“dietas”), and guided rituals that connect individuals with the natural and spiritual world.
In this context:
- Plants are seen as intelligent allies
- Illness may have energetic or spiritual causes
- Healing involves transformation and insight
This perspective is gaining attention globally as people seek holistic healing methods that address emotional and spiritual well-being alongside physical health.
Ethnopharmacology: Bridging Tradition and Science
From Indigenous Knowledge to Modern Medicine
The field of ethnopharmacology studies how traditional plant-based remedies can inform modern drug development. Researchers are increasingly collaborating with indigenous communities to understand the mechanisms behind Amazonian herbal treatments.
Examples of this convergence include:
- Investigating plant compounds for cancer therapies
- Developing new anti-inflammatory drugs
- Studying psychoactive plants for mental health treatment
This collaboration demonstrates that traditional Amazon medicine is not primitive—it is highly sophisticated and scientifically valuable.
The Global Rise of Natural and Plant-Based Medicine
A Shift Toward Holistic Wellness
In recent years, there has been a global movement toward:
- Natural remedies
- Herbal supplements
- Organic and plant-based lifestyles
As a result, medicine from the Amazon rainforest has gained widespread popularity. Consumers are increasingly drawn to products that are:
- Sustainably sourced
- Plant-based
- Rooted in traditional knowledge
This trend has fueled demand for Amazonian ingredients in industries such as:
- Nutritional supplements
- Skincare and cosmetics
- Mental wellness therapies
Ethical Challenges and Sustainability
Protecting Indigenous Knowledge and Resources
With rising demand comes responsibility. The commercialization of Amazonian herbal medicine raises important ethical questions:
- Are indigenous communities being fairly compensated?
- Is traditional knowledge being respected and protected?
- Are harvesting practices sustainable?
Deforestation and environmental degradation also threaten the very source of these medicinal plants. Without conservation efforts, both biodiversity and cultural heritage could be lost.
Sustainable solutions include:
- Ethical sourcing and fair trade practices
- Indigenous-led conservation initiatives
- Legal protection of traditional knowledge
Conservation: Safeguarding the Future of Amazonian Medicine
Preserving Biodiversity and Cultural Heritage
The survival of medicine from the Amazon depends on the protection of the rainforest itself. Conservation is not just an environmental issue—it is a health issue for the entire planet.
Protecting the Amazon ensures:
- Continued discovery of new medicinal compounds
- Preservation of indigenous healing traditions
- Maintenance of global ecological balance
Organizations and local communities are working together to promote sustainable harvesting, reforestation, and ecological education.
Innovation and Modern Applications
From Ancient Remedies to Global Markets
The integration of Amazonian plant medicine into modern industries has led to exciting innovations. Today, these natural ingredients are used in:
- Adaptogenic supplements for stress relief
- Herbal teas and tinctures
- Organic skincare formulations
- Functional foods and beverages
As research continues, the potential applications of Amazon herbal remedies are expanding, creating new opportunities for health and wellness.
Education and Cultural Awareness
Sharing Knowledge Responsibly
As interest in Amazon medicine grows, education becomes essential. It is important to:
- Respect cultural origins
- Avoid appropriation
- Support indigenous voices
By learning about the traditions behind these remedies, people can engage more ethically and meaningfully with Amazonian healing practices.
The Future of Medicine from the Amazon
A Path Toward Integrative Health
The future of medicine from the Amazon rainforest lies in integration—bringing together traditional wisdom and modern science to create more effective, holistic healthcare systems.
Potential developments include:
- Increased clinical research on plant medicines
- Greater recognition of indigenous healing systems
- Expansion of integrative and functional medicine
As the world faces rising health challenges, the Amazon offers a powerful reminder: nature holds solutions we are only beginning to understand.

Conclusion: A Call to Protect and Respect Nature’s Pharmacy
Medicine from the Amazon is more than a trend—it is a profound legacy of knowledge, culture, and biodiversity. From powerful plants like Ayahuasca and Cat’s Claw to the holistic philosophies of indigenous healers, the Amazon represents one of humanity’s greatest healing resources.
However, this resource is fragile. Its future depends on our ability to:
- Protect the rainforest
- احترام indigenous communities
- Promote sustainable and ethical practices
By embracing both ancient wisdom and modern science, we can ensure that Amazonian herbal medicine continues to benefit generations to come.
The Amazon is not just a place—it is a living, breathing system of healing. And its medicine may hold the key to a healthier, more balanced future for us all